Salta ai contenuti.Salta alla navigazione

Dal 9 dicembre 2025 al 12 gennaio 2026 compresi non sarà possibile effettuare acquisti sul nostro sito web. Potrete tornare a fare i vostri acquisti online dal 13 gennaio 2026.

Dal 9 dicembre 2025 al 12 gennaio 2026 compresi non sarà possibile effettuare acquisti sul nostro sito web. Potrete tornare a fare i vostri acquisti online dal 13 gennaio 2026.

0169#_###_076# S.P. 1 KM 7,000 (Via Sant'Alberto, 370)

0169#_###_076# S.P. 1 KM 7,000 (Via Sant'Alberto, 370)
20.0 NETTO IVA 22.0%
  • Disponibilita'
  • Accedi al sito per procedere con l'acquisto
Ultimo aggiornamento DB 2018-11-06, Scheda generata il 07/11/2018.
caposaldi di livellazione scheda descrittiva
Prima di acquistare questo caposaldo si consiglia di scaricare la scheda della monografia presente in questa pagina, per verificare, con un sopralluogo, il buon stato di conservazione della materializzazione (a volte danneggiata da ristrutturazioni edili, stradali, eventi naturali, vandalismi ecc)
0169#_###_076#     S.P. 1 KM 7,000
Coordinate
ROMA40   ETRF2000  
ROMA40 Φ       44° 30' 34"   ETRF2000 Φ       44° 30' 36"  
ROMA40 λ      -00° 16' 55"   ETRF2000 λ       12° 10' 11"  
 
Localita e Cartografia
Comune RAVENNA           Serie 100 089 Ravenna
Provincia RAVENNA  Serie 50 223 Ravenna
Regione EMILIA ROMAGNA   Serie 25 223 sez I Marina Romèa
Nazione ITALIA   Serie 25V 089 IVSE S. Alberto
Quote (m)  AttenzioneLe quote sono espresse in metri e troncate al metro
  A B C  
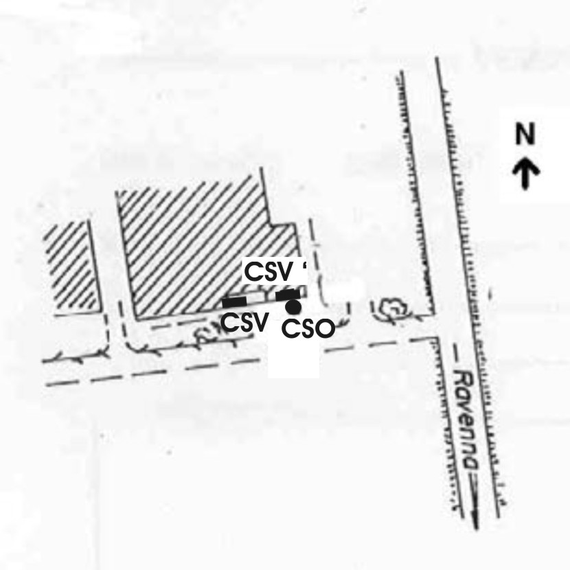
1 (CSO) - Chiodo anonimo infisso sul marciapiede presso lo spigolo Sud-Est.
3 (CSV) - Targa con linea incisa (C.R.1949) di altro Ente posta in corrispondenza del CSO.
2 (CSV') - Piastrina di altro Ente (IRTA Milano) infissa alla destra della porta d'ingresso dell'abitazione del numero civico 146'.

Prog. Chilometrica (titolo e link)   Km 68,502 dal Caposaldo 0019#_###_034P
Ultima ricognizione 2008
Modalita' Caposaldo di livellazione
Immagini:



Monografia Foto 1 Foto2
(Clicca sulle immagini per ingrandire)
© 2015 Istituto Geografico Militare, vietata la copia e la divulgazione non autorizzata.
Message