Salta ai contenuti.Salta alla navigazione

Dal 9 dicembre 2025 al 12 gennaio 2026 compresi non sarà possibile effettuare acquisti sul nostro sito web. Potrete tornare a fare i vostri acquisti online dal 13 gennaio 2026.

Dal 9 dicembre 2025 al 12 gennaio 2026 compresi non sarà possibile effettuare acquisti sul nostro sito web. Potrete tornare a fare i vostri acquisti online dal 13 gennaio 2026.

105618 FOSSO ARGINE DEL SARELLONE

105618 FOSSO ARGINE DEL SARELLONE
30.0 NETTO IVA 22.0%
  • Disponibilita'
  • Accedi al sito per procedere con l'acquisto
Ultimo aggiornamento DB 2021-01-01, Scheda generata il 01/01/2021.
IGM95 scheda descrittiva
Prima di acquistare questo punto IGM95 si consiglia di scaricare la scheda della monografia presente in questa pagina, per verificare, con un sopralluogo, il buon stato di conservazione della materializzazione (a volte danneggiata da ristrutturazioni edili, stradali, eventi naturali, vandalismi ecc)
105618     FOSSO ARGINE DEL SARELLONE
Cartografia Serie 25 273 sez I Buti
Serie 25V 105 IIISE Vicopisano
Localizzazione
Nazione ITALIA
Regione TOSCANA
Provincia PISA
Comune BIENTINA
Carabinieri BIENTINA
Coordinate Attenzione Le coordinate geografiche sono in gradi sessagesimali approssimate al secondo. Le coordinate piane e le quote sono espresse in metri con cifre significative fino al decametro.
ROMA40   ETRF2000   Quote
Φ 43° 42' 24"   Φ 43° 42' 27"   s.l.m. 0
λ -01° 48' 57"   λ 10° 38' 10"   Quote ellisoidica 50
F.O. N4840680 F.32 N4840690  
  E1631860   E631820  
F.E. N F.33 N  
  E   E  

Coordinate determinate nell'anno 2007  
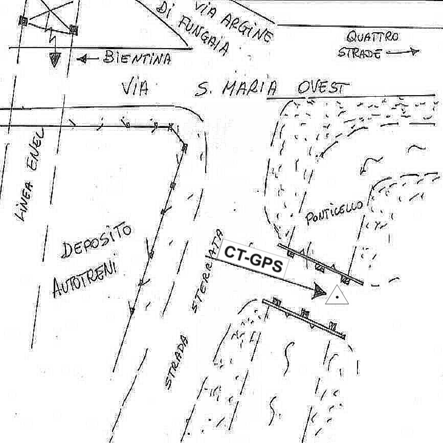
Materializzazione Centrino in acciaio inox murato sulla platea in cemento lato nord - est del ponticello del fosso posto sulla strada numero 26 che da Bientina porta a Quattro Strade.
Accesso
Informazioni Ausiliare
Categoria del punto Rete secondaria di raffittimento
Quota s.l.m. Con quota derivata dal modello del geoide (ITALGEO2005)
Produttore Ente Pubblico
Segnalizzato 01/06/2006
Ultima ricognizione
Collegamenti
Modalita' Vertice di raffittimento
Immagini:




Monografia Cartografia Foto 1 Foto2
(Clicca sulle immagini per ingrandire)
Message