Salta ai contenuti.Salta alla navigazione

Dal 9 dicembre 2025 al 12 gennaio 2026 compresi non sarà possibile effettuare acquisti sul nostro sito web. Potrete tornare a fare i vostri acquisti online dal 13 gennaio 2026.

Dal 9 dicembre 2025 al 12 gennaio 2026 compresi non sarà possibile effettuare acquisti sul nostro sito web. Potrete tornare a fare i vostri acquisti online dal 13 gennaio 2026.

014009 MONTE CIMONE

MONTE CIMONE
10.0 NETTO IVA 22.0%
  • Disponibilita'
  • Accedi al sito per procedere con l'acquisto
Punti trigonometrici scheda descrittiva
Le schede monografiche dei punti trigonometrici non sono visibili poiche' al momento e' in corso la loro digitalizzazione: prima di acquistare il punto si consiglia di contattare l'archivio geodetico per avere maggiori informazioni
014009     MONTE CIMONE
Cartografia Serie 25 033 sez III Saletto
Serie 25V 014 IINE Jof di Montasio
Localizzazione
Nazione ITALIA
Regione FRIULI-VENEZIA GIULIA
Provincia UDINE
Comune CHIUSAFORTE
Carabinieri CHIUSAFORTE
Coordinate Attenzione Le coordinate geografiche sono in gradi sessagesimali approssimate al secondo. Le coordinate piane e le quote sono espresse in metri con cifre significative fino al decametro.
ROMA40   ETRF2000   Quote
Φ 46° 25' 23"   Φ 46° 25' 25"   s.l.m. 2370
λ 00° 56'   λ 13° 23' 08"   Quote ellisoidica  
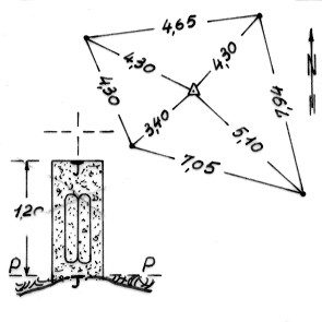
Materializzazione Segnale sulla sommità del monte a N. di Saletto, costituito da pilastrino in cemento con centrino alla sommità e sottostante centrino di fondo cementato su roccia affiorante. Asse geometrico del pilastrino. Riferimenti: 4 centrini metallici.
Accesso Da Saletto in 5 ore e mezzo di aspro cammino.
Informazioni Ausiliare
Produttore IGM
Segnalizzato 1949
Modalita':  Vertici trigonometrici di certa definizione
Immagini:




Monografia
(Clicca sulle immagini per ingrandire)
Message