Salta ai contenuti.Salta alla navigazione

Dal 9 dicembre 2025 al 12 gennaio 2026 compresi non sarà possibile effettuare acquisti sul nostro sito web. Potrete tornare a fare i vostri acquisti online dal 13 gennaio 2026.

Dal 9 dicembre 2025 al 12 gennaio 2026 compresi non sarà possibile effettuare acquisti sul nostro sito web. Potrete tornare a fare i vostri acquisti online dal 13 gennaio 2026.

021112 TENNA

TENNA
10.0 NETTO IVA 22.0%
  • Disponibilita'
  • Accedi al sito per procedere con l'acquisto
Punti trigonometrici scheda descrittiva
Le schede monografiche dei punti trigonometrici non sono visibili poiche' al momento e' in corso la loro digitalizzazione: prima di acquistare il punto si consiglia di contattare l'archivio geodetico per avere maggiori informazioni
021112     TENNA
Cartografia Serie 25 060 sez II Pèrgine Valsugana
Serie 25V 021 IISO Levico
Localizzazione
Nazione ITALIA
Regione TRENTINO-ALTO ADIGE
Provincia TRENTO
Comune TENNA
Carabinieri LEVICO
Coordinate Attenzione Le coordinate geografiche sono in gradi sessagesimali approssimate al secondo. Le coordinate piane e le quote sono espresse in metri con cifre significative fino al decametro.
ROMA40   ETRF2000   Quote
Φ 46° 01' 09"   Φ 46° 01' 12"   s.l.m. 640
λ -01° 11' 25"   λ 11° 15' 43"   Quote ellisoidica  
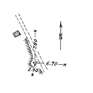
Materializzazione Segnale sull'altura Nord di Tenna, presso una campestre e vicino ad una baracca. Piastrina in marmo (trigonometrico R. A.). Riferimenti: tre croci incise su roccie.
Accesso
Informazioni Ausiliare
Produttore IGM
Segnalizzato 1959
Modalita':  Vertici trigonometrici di certa definizione
Immagini:




Monografia
(Clicca sulle immagini per ingrandire)
Message